
Desperation has gripped the historic Jamaican town of Black River after Hurricane Melissa, one of the most powerful Atlantic storms ever recorded, tore through the island this week, leaving catastrophic devastation in its wake.
Once a proud seaport and cultural hub in Jamaica's south-western parish of St Elizabeth, Black River now lies in ruins. Roofs have been ripped clean off, streets are buried under mud and debris, and centuries-old Georgian buildings that once defined the town's heritage have been flattened beyond recognition.
The road from Kingston to Black River—famed for its lush bamboo forest that formed a natural green tunnel—is now a scene of destruction. Soldiers armed with machetes have spent days hacking through splintered bamboo to reopen the main route to what officials call the storm's 'ground zero.'
'People Are Hungry'
Local accounts gathered by Associated Press reporters reveal heartbreak and exhaustion. Residents described their homes being torn apart and livelihoods wiped out within hours.
'Everything is gone,' said Michelle Barnes as she and her 13-year-old daughter secured their portion of emergency hand-outs.
Nearby, Monique Powell, from the community of Greenfield on Black River's outskirts, stood guard over a stash of grocery items and household goods she had collected for neighbours. 'People are hungry,' she said.
Across the parish, helicopters hovered overhead, dropping food to isolated villages as crews battled to clear roads.
Authorities estimate that up to 90 per cent of buildings in Black River have been damaged or destroyed. Power lines dangle across flooded streets, and vast sections of the south-west remain without electricity or water.

Jamaica Reeling From Record Storm
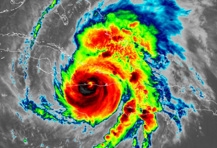
Hurricane Melissa slammed into Jamaica's south-west coast on Tuesday as a Category 5 hurricane, packing winds of 185 mph (295 km/h).
It tied the record for the strongest Atlantic hurricane ever to make landfall, devastating communities across St Elizabeth, Manchester and Clarendon.
At least 19 people have been confirmed dead in Jamaica and 31 in neighbouring Haiti, where flooding and building collapses caused widespread casualties.
In Black River, once the island's first electrified town and the 18th-century capital of St Elizabeth, residents trudged through narrow streets choked with wreckage.
Men, women and children carried bags of donated goods on their heads; teenage boys ferried supplies on bicycles beneath the sweltering Caribbean sun.
'My roof is gone and even the windows,' said Sadique Blair, who now shelters beneath a sheet of tarpaulin.

Hunger and Heartbreak Amid the Ruins
An influx of desperate residents descended on food establishments giving away their spoiled stock. The ferocious winds had driven 15-foot (5-metre) sea surges through the town, leaving behind a rancid mix of mud, sand and seawater that coated mangled cars and shattered homes.
Churches and schools stripped of windows and doors are now makeshift shelters. Others have refused to leave what remains of their houses, patching gaps with zinc sheets and scraps of plastic.
Community leaders warn of mounting health risks as clean water runs low and medical supplies dwindle.
King Charles Sends His Sympathy
As the scale of devastation became clear, King Charles III issued a heartfelt message to Jamaica and the wider Caribbean.
'My wife and I have been profoundly saddened to learn of the appalling loss of life and destruction caused by Hurricane Melissa,' His Majesty said in a statement. 'We send our deepest sympathy to the families and communities who have lost loved ones, and our admiration to those responding to this terrible tragedy with courage and compassion.'
The King added that the United Kingdom stood ready to assist in relief efforts, expressing his 'affection and solidarity' with the Commonwealth nation.

A Climate Reality Jamaica Can No Longer Ignore
For many Jamaicans, Melissa is more than a natural disaster—it is a brutal reminder of the region's climate vulnerability. Meteorologists have long warned that rising ocean temperatures are fuelling stronger, wetter storms, and Melissa is violent proof.
Despite reconstruction after Hurricane Beryl in 2024, many coastal communities still lack reinforced housing, flood defences and reliable warning systems. More than 60 per cent of the island remains without power, and nearly half its water systems are offline.
Experts warn that rebuilding could cost billions of pounds, far beyond Jamaica's means. Yet amid the despair, resilience endures. Jamaicans have rebuilt after every storm, their spirit unbroken.
But unless wealthier nations honour their climate-finance promises, the tragedy of Black River could soon be repeated across the Caribbean.
Originally published on IBTimes UK
© Copyright IBTimes 2025. All rights reserved.








